U gebruikt een verouderde internetbrowser.
We raden u aan om de meest recente internetbrowser te installeren voor de beste weergave van deze website.
Een internetbrowser die up to date is, staat ook garant voor veilig surfen.

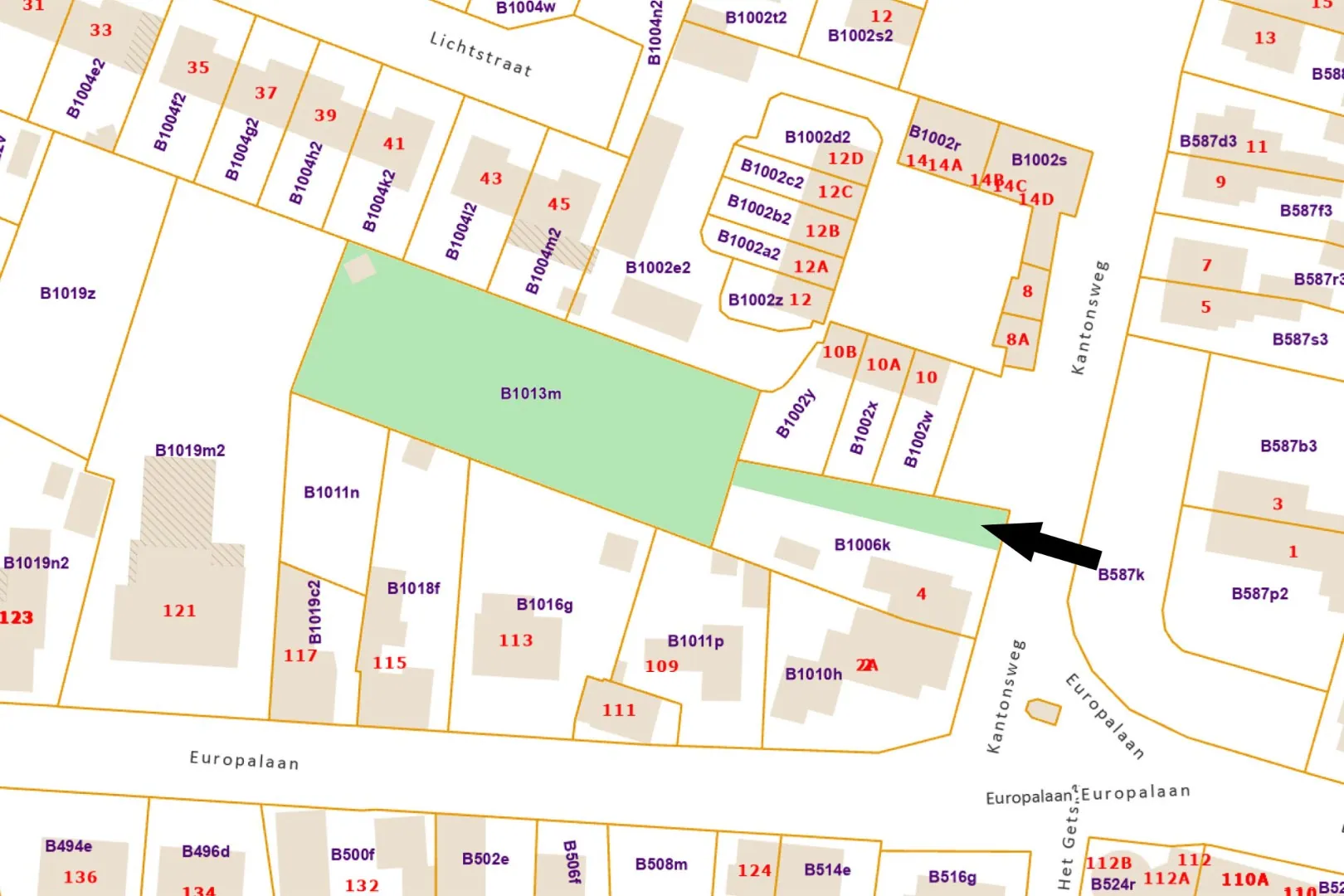
Perceel (weide-)grond van 2.000 m² met privé toegang via de Kantonsweg

€ 120 000 Dilsen-Stokkem
Kantonsweg 4
In het centrum van Dilsen gelegen perceel grond. Gelegen deels in Woongebied, deels in Woonuitbreidingsgebied. Het perceel heeft een dubbele toegangspoort en eigen oprijlaan vanaf de Kantonsweg, rechts van Kantonsweg 4, vlakbij de Witte Kapel aan de Europalaan.
De grond paalt niet aan de openbare weg, waardoor geen woning kan gebouwd worden.
Een ideaal perceel voor het houden van dieren of het bewerken van de grond.

Bijkomende informatieplicht waterinfo:
- Het goed is niet gelegen in een signaalgebied
- Het goed is niet aangeduid als een watergevoelig openruimtegebied

Wij kunnen geen garantie geven over de juistheid van de gegevens en afmetingen.
2.000 m²

Perceel (weide-)grond van 2.000 m² met privé toegang via de Kantonsweg

Perceel (weide-)grond van 2.000 m² met privé toegang via de Kantonsweg

€ 120 000 Dilsen-Stokkem
Kantonsweg 4
In het centrum van Dilsen gelegen perceel grond. Gelegen deels in Woongebied, deels in Woonuitbreidingsgebied. Het perceel heeft een dubbele toegangspoort en eigen oprijlaan vanaf de Kantonsweg, rechts van Kantonsweg 4, vlakbij de Witte Kapel aan de Europalaan.
De grond paalt niet aan de openbare weg, waardoor geen woning kan gebouwd worden.
Een ideaal perceel voor het houden van dieren of het bewerken van de grond.

Bijkomende informatieplicht waterinfo:
- Het goed is niet gelegen in een signaalgebied
- Het goed is niet aangeduid als een watergevoelig openruimtegebied

Wij kunnen geen garantie geven over de juistheid van de gegevens en afmetingen.
Adres:Kantonsweg 4
Dilsen-Stokkem
Referentie:8484
Vraagprijs:€ 120.000
Type:Weiland
Perceeloppervlakte:2.000 m²
Perceelbreedte:26 m
Perceeldiepte:70 m
Type constructie:Traditioneel
Bushalte:Ja - op minder dan 500 m
Winkel:Ja - op minder dan 500 m
School:Ja - op minder dan 500 m
Bank:Ja - op minder dan 500 m
Ontspanning:Ja - op minder dan 500 m
Restaurant:Ja - op minder dan 500 m

Vraag meer info aan


U moet akkoord gaan met het privacybeleid van deze website
* Verplicht in te vullen
** Eén van deze velden is verplicht in te vullen

Niet gevonden wat u zocht?

Het creatieve Lumaro Vastgoed-team vindt zeker wat u zoekt.
Schrijf u in