U gebruikt een verouderde internetbrowser.
We raden u aan om de meest recente internetbrowser te installeren voor de beste weergave van deze website.
Een internetbrowser die up to date is, staat ook garant voor veilig surfen.

Residentieel gelegen bouwperceel voor open bebouwing

€ 195 000 Dilsen-Stokkem
Heilderveld 60
In een mooie woonstraat gelegen, aan de rand van centrum Dilsen, op wandelafstand van scholen en Stadhuis, Stadspark en winkels.
De grond is bestemd voor de bouw van een vrijstaande woning. Vrij beroep en diensten zijn toegelaten.

Aansluitingen van de nutsvoorzieningen zijn ten laste van de koper.
Tevens is dit pand een goede investering!

OPEN BEBOUWING – zie “Stedenbouwkundige voorschriften” voor de volledige info
- Bestemming: 1-gezinswoning ; zorgwoning mogelijk – vrije beroepen en diensten zijn toegelaten, handel en horeca en ambacht zijn niet toegelaten
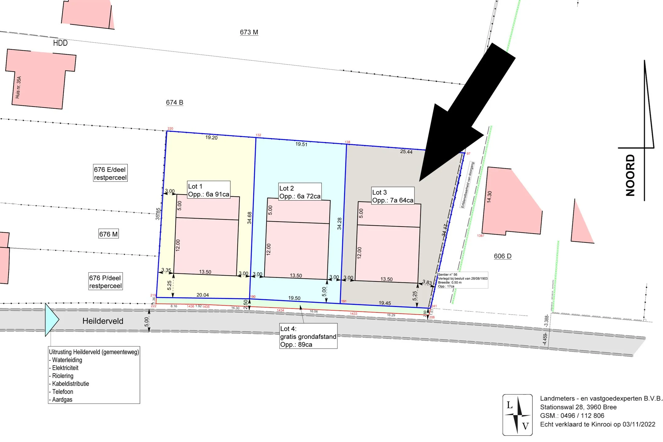
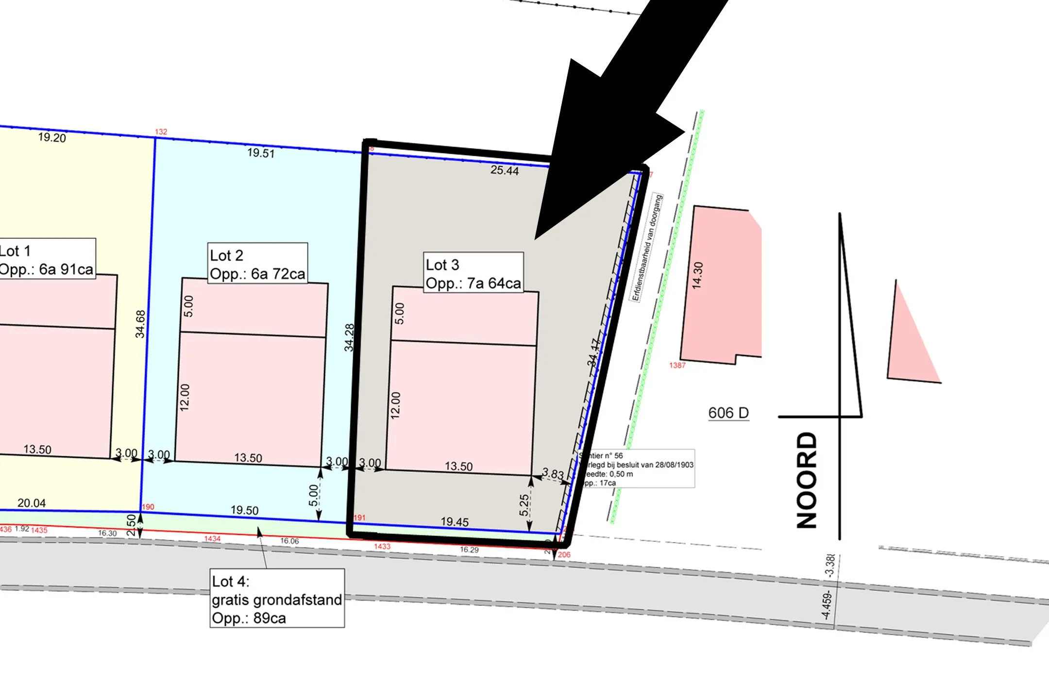
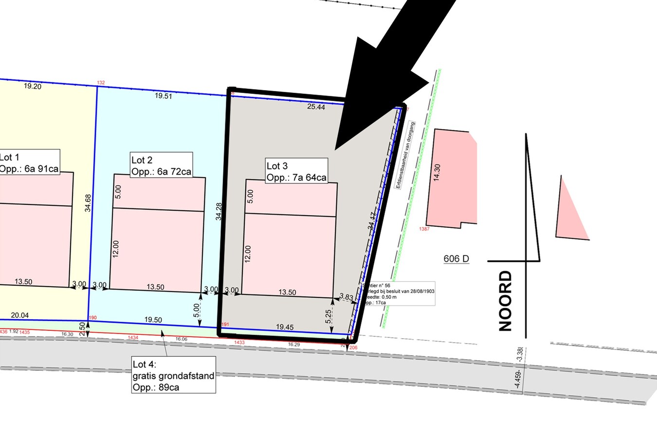
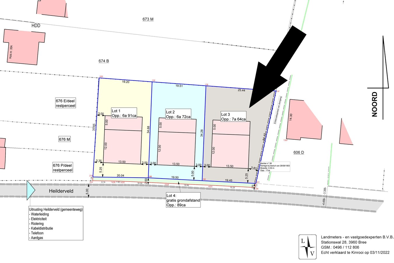
- Perceelsopp.: 7a 64ca = 764 m²
- Oriëntatie: tuin op het noord
- Breedte perceel: vooraan: 19,45 m - achteraan: 25,44 m.
- Diepte perceel: links: 34,28 m - rechts: 34,17 m.
- Bebouwbare opp.: 13,50 m x 17 m = 229,50 m² gelijkvloers
- Verdieping mag 12 m diep gebouwd worden
- Toegestane hoogte: tot 12 m maximaal 2 volwaardige bouwlagen onder de kroonlijst (max 7 m boven niveau van de straat) -maximale nokhoogte 11 m.
Vanaf 12 m maximaal 1 volwaardige ... bouwlaag met kroonlijsthoogte max 3,50 m en nokhoogte max 4,50 m.
- Verkaveling: ja

Bijkomende informatieplicht waterinfo:
- Het goed is niet gelegen in een signaalgebied
- Het goed is niet aangeduid als een watergevoelig openruimtegebied

Wij kunnen geen garantie geven over de juistheid van de gegevens en afmetingen.
Lees meer Verberg
764 m²
19 m²
Open
Noord

Residentieel gelegen bouwperceel voor open bebouwing

Residentieel gelegen bouwperceel voor open bebouwing

€ 195 000 Dilsen-Stokkem
Heilderveld 60
In een mooie woonstraat gelegen, aan de rand van centrum Dilsen, op wandelafstand van scholen en Stadhuis, Stadspark en winkels.
De grond is bestemd voor de bouw van een vrijstaande woning. Vrij beroep en diensten zijn toegelaten.

Aansluitingen van de nutsvoorzieningen zijn ten laste van de koper.
Tevens is dit pand een goede investering!

OPEN BEBOUWING – zie “Stedenbouwkundige voorschriften” voor de volledige info
- Bestemming: 1-gezinswoning ; zorgwoning mogelijk – vrije beroepen en diensten zijn toegelaten, handel en horeca en ambacht zijn niet toegelaten
- Perceelsopp.: 7a 64ca = 764 m²
- Oriëntatie: tuin op het noord
- Breedte perceel: vooraan: 19,45 m - achteraan: 25,44 m.
- Diepte perceel: links: 34,28 m - rechts: 34,17 m.
- Bebouwbare opp.: 13,50 m x 17 m = 229,50 m² gelijkvloers
- Verdieping mag 12 m diep gebouwd worden
- Toegestane hoogte: tot 12 m maximaal 2 volwaardige bouwlagen onder de kroonlijst (max 7 m boven niveau van de straat) -maximale nokhoogte 11 m.
Vanaf 12 m maximaal 1 volwaardige ... bouwlaag met kroonlijsthoogte max 3,50 m en nokhoogte max 4,50 m.
- Verkaveling: ja

Bijkomende informatieplicht waterinfo:
- Het goed is niet gelegen in een signaalgebied
- Het goed is niet aangeduid als een watergevoelig openruimtegebied

Wij kunnen geen garantie geven over de juistheid van de gegevens en afmetingen.
Lees meer Verberg
Adres:Heilderveld 60
Dilsen-Stokkem
Referentie:8997
Vraagprijs:€ 195.000
Type:Grond
Beschikbaar vanaf:Bij akte
Perceeloppervlakte:764 m²
Perceelbreedte:19,45 m
Perceeldiepte:34,28 m
Type constructie:Traditioneel
Gevelbreedte:13,5 m
Tuin:Ja
Tuin oriëntatie:Noord

Vraag meer info aan


U moet akkoord gaan met het privacybeleid van deze website
* Verplicht in te vullen
** Eén van deze velden is verplicht in te vullen

Niet gevonden wat u zocht?

Het creatieve Lumaro Vastgoed-team vindt zeker wat u zoekt.
Schrijf u in